BLITZ Romania

Consultant imobiliar

Vânzare

Terenuri intravilane cu PUZ aprobat, utilități la poartă

Dambovita / Targoviste
17.820 €

Rată estimată

384 Lei/lună

Avans (15%)

13.285 lei

Perioada împrumutului

30 ani

Specificații

Suprafață teren 439 m²

Clasificare teren Intravilan

Front stradal 12 m

Tip teren Construibil

Tip tranzacție Vânzare

Tip vânzător Companie

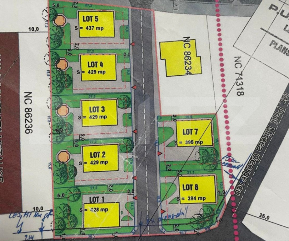
Blitz vă oferă spre vânzare un ansamblu de 7 loturi intravilane, Ramase doar 2 loturi cu PUZ aprobat și Certificat de Urbanism actualizat, situate într-o zonă aflată în plină dezvoltare, ideală pentru construcții rezidențiale moderne sau investiții imobiliare sigure pe termen lung.

Suprafețele sunt distribuite astfel: MAI AVEM VALABILE DOAR 2 LOTURI SE VINDE ȘI DRUMUL DE SERVITUTE 112 m CU 40 DE EURO MP
???? 429 mp

???? 395 mp

Loturile se pot achiziționa individual sau în bloc, în funcție de preferințe, fiind amplasate într-un cartier privat, cu infrastructură în curs de dezvoltare și acces auto facil.

✔ Utilitățile (apă, curent, gaze, canalizare) sunt chiar în fața terenului, ceea ce reduce semnificativ costurile de conectare.

✔ Drum privat, acces ușor, zonă liniștită, potrivită pentru locuințe individuale, duplexuri sau ansamblu rezidențial.

???? Avantaje:

PUZ aprobat – construcție fără obstacole administrative

Certificat de Urbanism actualizat

Fronturi generoase

Zonă în plină extindere

Drum privat

Investiție cu potențial ridicat

Destinații potrivite:
???? locuințe individuale
???? case tip duplex
???? ansamblu de case
???? dezvoltare imobiliară

O oportunitate excelentă atât pentru dezvoltatori, cât și pentru persoane fizice care doresc să construiască într-o zonă aerisită, modernă, cu vecinătăți noi.
Cod ofertă / ID BLITZ: P159762
Id intern: P159762

Solicită vizionarea proprietății

Alege o zi disponibilă

27 Aprilie
28 Aprilie
29 Aprilie
30 Aprilie

Alege un interval orar

8:00 - 12:00
12:00 - 15:00
15:00 - 18:00
18:00 - 21:00

Următoarele date de contact oferite de tine vor fi accesibile proprietarului:

Locație

Contactează utilizatorul

ID: 4098058

Terenuri intravilane cu PUZ aprobat, utilități la poartă

Dambovita / Targoviste

17.820 €


Vezi și alte anunțuri imobiliare
Apartamente vânzare Targoviste-db - Aleea Trandafirilor Case-vile vânzare Targoviste-db - Aleea Trandafirilor Garsoniere vânzare Targoviste-db - Aleea Trandafirilor Terenuri vânzare Targoviste-db - Aleea Trandafirilor Apartamente vânzare Targoviste-db - Centura Case-vile vânzare Targoviste-db - Centura Garsoniere vânzare Targoviste-db - Centura Terenuri vânzare Targoviste-db - Centura Apartamente vânzare Targoviste-db - Cetate Case-vile vânzare Targoviste-db - Cetate Garsoniere vânzare Targoviste-db - Cetate Terenuri vânzare Targoviste-db - Cetate