Ramona Urjuma

Consultant imobiliar

Vânzare

2 camere | 200 m²

Cota de 1/4 din casa Abrud, judetul Alba

Alba / Abrud
17.500 €

Rată estimată

383 Lei/lună

Avans (15%)

13.046 lei

Perioada împrumutului

30 ani

Specificații

Preț negociabil Da

Suprafața utilă 200 m²

Suprafață teren 1070 m²

Număr camere 2

Niveluri imobil 12+

An finalizare construcție 1974

Număr Băi 3+

Ansamblu Rezidențial Da

Posibilitate parcare Nu

Stare proprietate Bună

Utilități Gaz, Canalizare, Apă, Curent

Tip tranzacție Vânzare

Tip vânzător Companie

Se vinde la licitatie!
Se vinde cota de 1/4
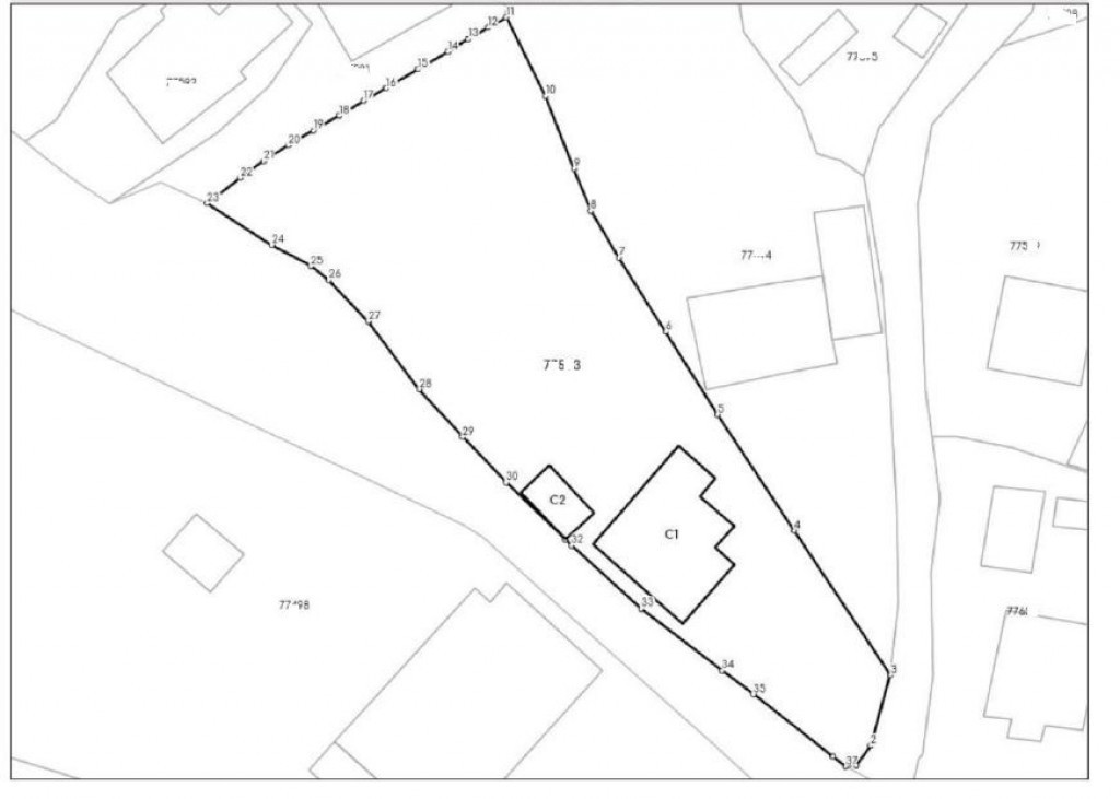
Suprafata constructii
C1-Casa de locuit D+P,  Suprafata construita: 84 mp
Suprafata desfasurata: 124 mp, C2- Magazie P, Suprafata construita: 16 mp
Suprafata teren: 1.070 mp; Terenul are o deschidere de 73,87 metri la strada Serbina.
Casa de locuit (C1) este dispusa pe doua niveluri: demisol si parter iar magazia (C2) este dispusa pe un singur nivel: parter.
Aspectul ambelor constructii este modest.
Casa de locuit (C1) este edificata pe fundatie din beton. Peretii exteriori si de compartimentare sunt realizati din caramida. Peretii exteriori sunt prevazuti cu tencuieli doar in zona de demisol, iar parterul nu este tencuit.
Acoperisul casei este tip sarpanta din lemn cu invelitoare din tigla.
Magazia (C2) este edificata pe fundatie din beton, pe structura de lemn.
Acoperisul magaziei este tip sarpanta din lemn cu invelitoare din tabla.
Tamplaria exterioara este realizata din profile de PVC si geamuri termoizolante.
Incalzirea in casa de locuit se realizeaza cu sobe.
Proprietatea dispunde toate urmatoarele utilitati:
electricitate, apa si canalizare de la reteaua locala

Solicită vizionarea proprietății

Alege o zi disponibilă

07 Decembrie
08 Decembrie
09 Decembrie
10 Decembrie

Alege un interval orar

8:00 - 12:00
12:00 - 15:00
15:00 - 18:00
18:00 - 21:00

Următoarele date de contact oferite de tine vor fi accesibile proprietarului:

Locație

Contactează utilizatorul

ID: 4051170

Cota de 1/4 din casa Abrud, judetul Alba

2 camere | 200 m² | Alba / Abrud

17.500 €