Mihaela Barbieru

Consultant imobiliar

Vânzare

560 m²

Spațiu comercial de 560mp de vânzare

Dambovita / Manastirea
299.000 €

Rată estimată

6.438 Lei/lună

Avans (15%)

222.905 lei

Perioada împrumutului

30 ani

Specificații

Preț negociabil Da

Nu include TVA Nu

Tip imobil Alte tipuri

Suprafața utilă 560 m²

Suprafață totală 570 m

An finalizare construcție 2007

Vitrină 60_0 m

Numărul de locuri de parcare 5-10

Număr încăperi 3

Posibilitate parcare Da

Stadiu construcție Finalizat

Tip tranzacție Vânzare

Tip vânzător Companie

Se propune spre vânzare o proprietate cu destinație mixtă, cu potențial ridicat pentru activități comerciale, logistice sau administrative, situată într-o zonă cu acces rapid către București, pe Șoseaua București–Târgoviște, la câteva minute de Podul Mogoșoaia, într-un perimetru aflat în plină dezvoltare.

Clădire comercială / depozit și teren
Descriere clădire:
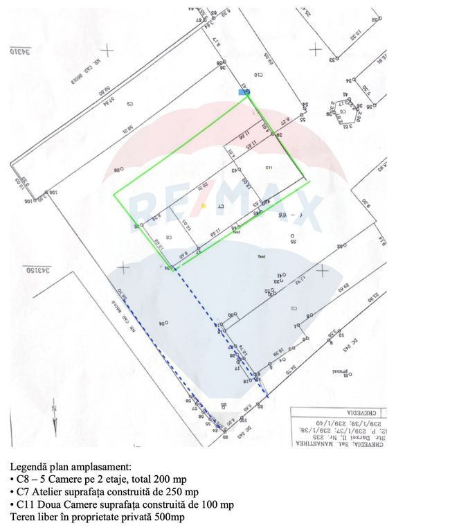
Imobilul este compus din clădire comercială sau depozit de aproximativ 400 mp, rezultând un spațiu generos, ușor de compartimentat și adaptat în funcție de necesități
 la care se adaugă două camere cu baie proprie de câte 80 mp fiecare
Clădirea este potrivită pentru depozitare, birouri, activități logistice, producție ușoară sau alte utilizări comerciale.

Avantaje:
Amplasare strategică pe arteră principală cu vizibilitate și acces rapid către București
Spații versatile, adaptabile pentru diferite tipuri de afaceri sau depozitare cu suprafață construită de peste 560 mp, ușor adaptabil pentru diverse activități (depozitare, logistică, birouri, producție ușoară, showroom).
Teren aferent: aprox. 1.200 mp, ideal pentru parcare, circulație și zone de încărcare–descărcare din care 560 mp teren liber, proprietate privată, cu posibilitate de extindere si drum de acces dedicat, 1.000 mp cu deschidere 6 m, acces facil inclusiv pentru vehicule de transport.
Localizare excelentă, vizibilitate bună și conexiuni rapide către București și zonele limitrofe. Proprietate ideală pentru activități comerciale, logistice sau investiție.
La nevoie, putem oferi sprijin în alegerea creditului, cu ajutorul unui broker specializat.
Pentru informații suplimentare sau pentru programarea unei vizionări, vă rog să mă contactați.

Solicită vizionarea proprietății

Alege o zi disponibilă

11 Aprilie
12 Aprilie
13 Aprilie
14 Aprilie

Alege un interval orar

8:00 - 12:00
12:00 - 15:00
15:00 - 18:00
18:00 - 21:00

Următoarele date de contact oferite de tine vor fi accesibile proprietarului:

Locație

Contactează utilizatorul

ID: 4125945

Spațiu comercial de 560mp de vânzare

560 m² | Dambovita / Manastirea

299.000 €