Monica Rauca

Consultant imobiliar

Vânzare

Teren 10,600mp Voluntari / Strada Matei Millo

Bucuresti-Ilfov / Voluntari
2.438.000 €

Rată estimată

52.492 Lei/lună

Avans (15%)

1.817.529 lei

Perioada împrumutului

30 ani

Specificații

Preț negociabil Nu

Nu include TVA Nu

Suprafață teren 10600 m²

Tip teren Construibil

Clasificare teren Intravilan

Construcție pe teren Nu

Utilități Curent, Apă, Canalizare, Gaz

Tip tranzacție Vânzare

Tip vânzător Companie

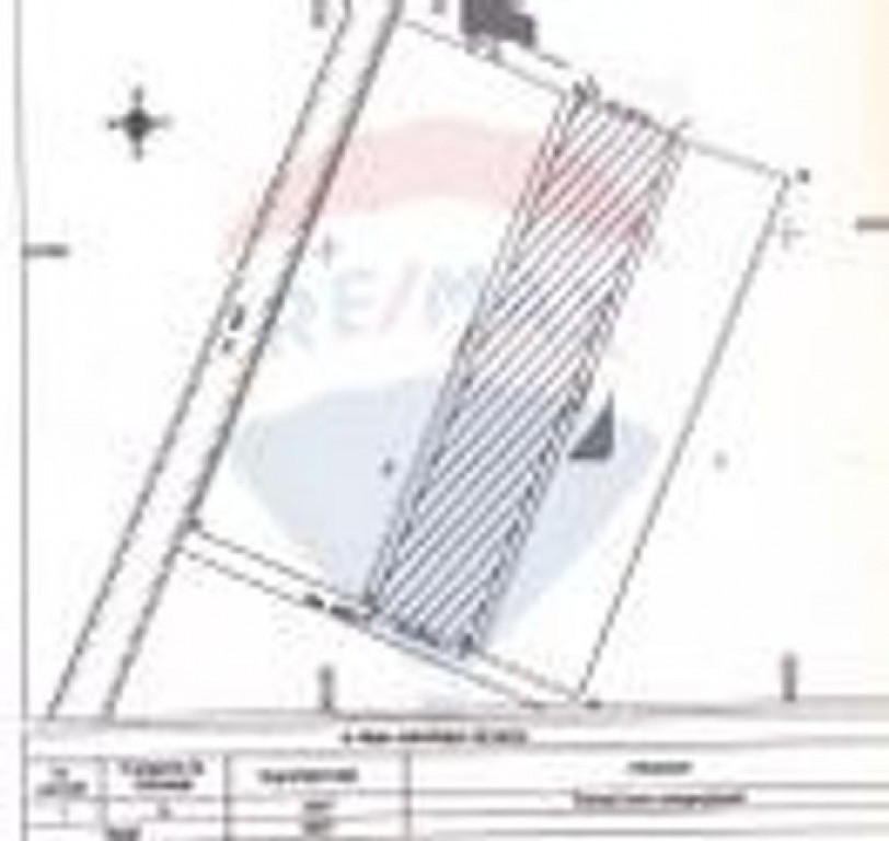
Teren intravilan 10.600 m² – zona Matei Millo, Voluntari – Zonă de nord, oportunitate de investiție
Localizare strategică:
Teren situat pe strada Matei Millo, în zona de nord a București, parte a localității Voluntari, una dintre cele mai dinamice și dezvoltate zone din Ilfov.
Are acces facil către DN1, DN2, A3 și A0 (Centura București – sector nord), precum și către zone cheie precum Pipera, Băneasa și Otopeni.
În apropiere se află numeroase cartiere rezidențiale premium, școli și grădinițe private (precum British School of Bucharest și Mark Twain International School), centre comerciale (Jolie Ville, Băneasa Shopping City), hub-uri de afaceri și zone verzi.

Caracteristici teren:
Suprafață totală: 10.600 m²
Deschidere generoasă: 115 m
Utilități disponibile la aproximativ 200 m
POT: 40%
CUT: 0.9
Regim maxim de înălțime: 2 niveluri (locuințe / comercial)
Împărțire: 5.000 m², 3.000 m² și 2.600 m²
Se poate vinde integral (10.600 m²) sau doar parcela de 5.600 m² 

Oportunități de investiție:
Zonă în continuă dezvoltare, ideală pentru proiecte rezidențiale, comerciale sau mixte
Acces rapid către puncte strategice din nordul Capitalei
Potențial ridicat de valorificare datorită cererii crescute în zonă
Doar o parte din lotul de 5.000 m²(300m2) este inclusă în coridorul de expropriere pentru proiectul „Centura ocolitoare” și va fi despăgubită de stat, ceea ce poate reprezenta un avantaj suplimentar pentru investitori

Avantaj competitiv:
Combinația dintre amplasarea excelentă, suprafața generoasă, deschiderea mare și posibilitatea obținerii de despăgubiri face ca acest teren să fie o oportunitate ideală pentru investitori.

Solicită vizionarea proprietății

Alege o zi disponibilă

11 Aprilie
12 Aprilie
13 Aprilie
14 Aprilie

Alege un interval orar

8:00 - 12:00
12:00 - 15:00
15:00 - 18:00
18:00 - 21:00

Următoarele date de contact oferite de tine vor fi accesibile proprietarului:

Locație

Contactează utilizatorul

ID: 4145002

Teren 10,600mp Voluntari / Strada Matei Millo

Bucuresti-Ilfov / Voluntari

2.438.000 €