BLITZ Romania

Consultant imobiliar

Vânzare

Teren de 4300 mp, cu certificat de urbanism pentru hala prod

Cluj / Cluj-Napoca
64.500 €

Rată estimată

1.413 Lei/lună

Avans (15%)

48.085 lei

Perioada împrumutului

30 ani

Specificații

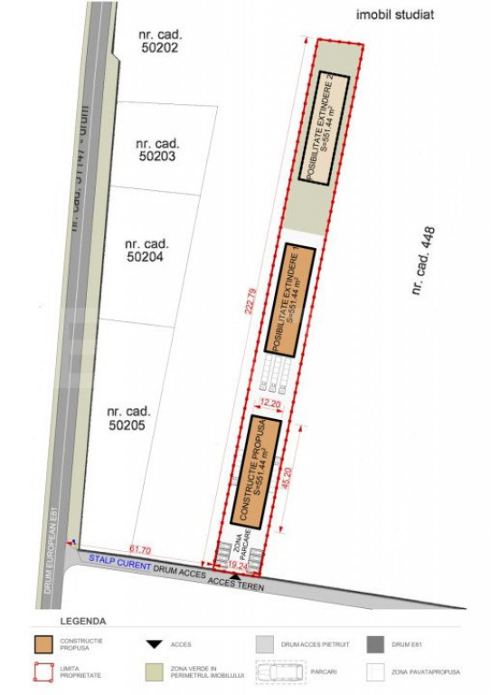
Suprafață teren 4300 m²

Clasificare teren Extravilan

Front stradal 19 m

Utilități Curent, Apă

Tip teren Construibil

Tip tranzacție Vânzare

Tip vânzător Companie

Blitz va propune spre vanzare un teren extravilan in suprafata de 4300mp, in apropierea viitorului nod de autostrada Zimbor. 
Terenul este localizat in jud. Salaj, in Sanmihaiu Almasului.
Are front stradal de 19.6 ml si se preteaza pentru constructii cu caracter industrial, depozitare, productie, agricol, avand certificat de urbanism in acest sens.
Ca si utilitati avem in apropiere apa si curent.
Pentru mai multe detalii, nu ezitati sa ne contactati.
Cod ofertă / ID BLITZ: P106244
Id intern: P106244

Solicită vizionarea proprietății

Alege o zi disponibilă

20 Decembrie
21 Decembrie
22 Decembrie
23 Decembrie

Alege un interval orar

8:00 - 12:00
12:00 - 15:00
15:00 - 18:00
18:00 - 21:00

Următoarele date de contact oferite de tine vor fi accesibile proprietarului:

Locație

Despre zona "Manastur"

păreri exprimate de 461 de utilizatori, pe o scară de la 1 la 10

Află clasamentul acestui cartier
Sănătate și Siguranță

Sănătate și Siguranță

7.6

Sănătate 7.4

Siguranță 8.1

Calitate aer 7.4

Curățenie 7.5

Zone verzi 7.6

Cultură și Educație

Cultură și Educație

7.6

Cultură 6.8

Educație 8.0

Sport 7.9

Ambianță și Lifestyle

Ambianță și Lifestyle

7.1

Nivel de trai 7.6

Magazine 8.4

Localuri 7.5

Parcări 4.9

Zgomot 7.2

Transport în comun

Transport în comun

8.4

Autobuz 8.7

Tramvai 8.1

Metrou 0.0

Contactează utilizatorul

ID: 3662125

Teren de 4300 mp, cu certificat de urbanism pentru hala prod

Cluj / Cluj-Napoca

64.500 €


Vezi și alte anunțuri imobiliare
Apartamente vânzare Cluj-napoca-cj - Aeroport Case-vile vânzare Cluj-napoca-cj - Aeroport Garsoniere vânzare Cluj-napoca-cj - Aeroport Terenuri vânzare Cluj-napoca-cj - Aeroport Apartamente vânzare Cluj-napoca-cj - Andrei Muresanu Case-vile vânzare Cluj-napoca-cj - Andrei Muresanu Garsoniere vânzare Cluj-napoca-cj - Andrei Muresanu Terenuri vânzare Cluj-napoca-cj - Andrei Muresanu Apartamente vânzare Cluj-napoca-cj - Apahida Case-vile vânzare Cluj-napoca-cj - Apahida Garsoniere vânzare Cluj-napoca-cj - Apahida Terenuri vânzare Cluj-napoca-cj - Apahida