Victor Popa

Consultant imobiliar

Vânzare

Teren Industrial DN 13 | BV - Feldioara - COMISION 0%

Brasov / Feldioara
655.004 €

Rată estimată

14.351 Lei/lună

Avans (15%)

488.305 lei

Perioada împrumutului

30 ani

Specificații

Suprafață teren 59600 m²

Clasificare teren Intravilan

Front stradal 254 m

Comision cumpărător 0%

Tip teren Construibil

Tip tranzacție Vânzare

Tip vânzător Companie

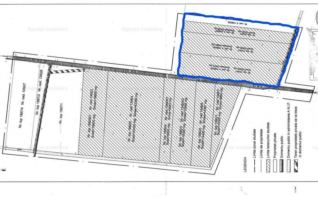
Agentia imobiliara POVIL va propune spre vanzare un teren industrial situat intr-o zona in plina dezvoltare.
Terenul este localizat pe DN 13 la aprox. 15 km de la Brasov spre Feldioara.

COMISION 0%.

Terenul are o suprafata totala de 59.600 mp si este compus din 4 loturi.
Deschidere DN13: 254 m
Deschidere lateral la drum pietruit.
CUT: 60%
POT: 1,0
Regim inaltime: P +2E
PUZ: Zona mica de industrie si prestari servicii.
Id intern: XARR0301J

Solicită vizionarea proprietății

Alege o zi disponibilă

27 Decembrie
28 Decembrie
29 Decembrie
30 Decembrie

Alege un interval orar

8:00 - 12:00
12:00 - 15:00
15:00 - 18:00
18:00 - 21:00

Următoarele date de contact oferite de tine vor fi accesibile proprietarului:

Locație

Contactează utilizatorul

ID: 4088479

Teren Industrial DN 13 | BV - Feldioara - COMISION 0%

Brasov / Feldioara

655.004 €