Larisa-Elena Bucataru

Consultant imobiliar

Vânzare

Teren intravilan, 12000 mp, Ciorogarla, jud. Ilfov

Bucuresti-Ilfov / Ciorogarla
300.000 €

Rată estimată

6.489 Lei/lună

Avans (15%)

223.650 lei

Perioada împrumutului

30 ani

Specificații

Suprafață teren 12000 m²

Nu include TVA Nu

Clasificare teren Intravilan

Front stradal 41 m

Tip teren Construibil

Utilități Curent, Apă, Canalizare, Gaz

Tip tranzacție Vânzare

Tip vânzător Companie

Oportunitate excelenta de investitie in localitatea Ciorogarla, judetul Ilfov.

- Suprafata: 12.000 mp
- Localizare: in apropiere de Liceul Pamfil Seicaru
-Teren neimprejmuit
- Utilitati langa teren: apa, canalizare, electricitate, gaze
- Destinatie ideala: proiect rezidential, industrial,  parcelare sau investitie pe termen lung

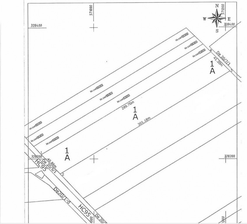
Valorile lungimilor segmentelor din proiectia in plan:

punct inceput 1- punct sfarsit 2: 40, 862 ml 

punct inceput 2- punct sfarsit 3: 301,175 m

 punct inceput 3- punct sfarsit 4: 41,199 m

 punct inceput 4 - punct sfarsit 1: 299, 696 m

Accesul facil reprezinta un atu esential al acestui teren, atat pentru dezvoltari rezidentiale, cat si pentru proiecte de investitie. Proximitatea fata de Autostrada A1 si Soseaua de Centura asigura conectivitate rapida cu Bucurestiul si cu principalele rute comerciale, ceea ce il face ideal pentru constructii de locuinte, spatii logistice sau alte functiuni urbanistice. Strada Viitorului permite un acces fluent, iar infrastructura din zona este in plina expansiune, sustinand valorificarea investitiei pe termen mediu si lung.

- Pozitionare strategica:

5 min  Liceul Pamfil Seicaru

7-10 min  Autostrada A1

25 min Centrul Bucurestiului

Acces direct catre centura capitalei

Pentru vizionare, rog sa ne contactati la numarul afisat. 

ID ACTIV IMOB 230823

Solicită vizionarea proprietății

Alege o zi disponibilă

18 Februarie
19 Februarie
20 Februarie
21 Februarie

Alege un interval orar

8:00 - 12:00
12:00 - 15:00
15:00 - 18:00
18:00 - 21:00

Următoarele date de contact oferite de tine vor fi accesibile proprietarului:

Locație

Contactează utilizatorul

ID: 4130423

Teren intravilan, 12000 mp, Ciorogarla, jud. Ilfov

Bucuresti-Ilfov / Ciorogarla

300.000 €