Ramona Urjuma

Consultant imobiliar

Vânzare

Teren intravilan, Bacainti, jud. Alba - termen 24.09

Alba / Bacainti
129.775 ron

Rată estimată

2.843 Lei/lună

Avans (15%)

96.747 lei

Perioada împrumutului

30 ani

Specificații

Suprafață teren 4900 m²

Tip teren Agricol

Clasificare teren Extravilan

Front stradal 50 m

Utilități Curent

Preț negociabil Nu

Construcție pe teren Nu

Tip tranzacție Vânzare

Tip vânzător Companie

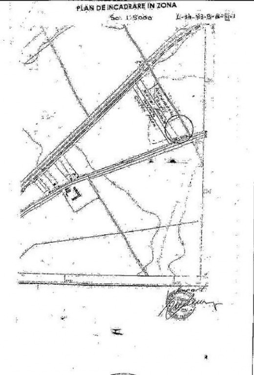
Terenul intravilan avand categoria "arabil", in suprafata de 4,900 mp, accesul realizandu-se din DN7 Sebes-Orastie.
Lotul este plan, are o forma dreptunghiulara, are deschidere la DN7 de 50 m si are urmatoarele dimensiuni: 50m / 98m.
Utilitati publice de care dispune in zona sunt: curent electric.
Imobilul este localizat in zona sud-estica periferica, intr-o zona agricola, in locul numit "La Crucea Bacainti".
Terenul se vinde in licitatie publica!

Solicită vizionarea proprietății

Alege o zi disponibilă

07 Decembrie
08 Decembrie
09 Decembrie
10 Decembrie

Alege un interval orar

8:00 - 12:00
12:00 - 15:00
15:00 - 18:00
18:00 - 21:00

Următoarele date de contact oferite de tine vor fi accesibile proprietarului:

Locație

Contactează utilizatorul

ID: 1890815

Teren intravilan, Bacainti, jud. Alba - termen 24.09

Alba / Bacainti

129.775 ron