Victor Sorlescu

Consultant imobiliar

Vânzare

1600 m²

Strada Oxigenului | Hală industrială

Bucuresti-Ilfov / Bucuresti
1.600.000 €

Specificații

Suprafața utilă 1600 m²

Suprafață totală 1600 m

An finalizare construcție 2024

Tip imobil Alte tipuri

Stadiu construcție Finalizat

Tip tranzacție Vânzare

Tip vânzător Companie

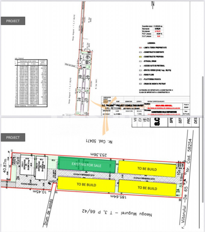
Vă oferim spre vânzare o hală modernă, situată pe Strada Oxigenului (zona Industriilor/Pallady).

Hala este construita recent (2024), iar suprafața totală utilă este de 1.600 mp, din care 240 mp sunt dedicați birourilor.

Hala dispune de toate utilitățile necesare unei activități de succes: apă curentă, canalizare din rețeaua orașului, bransament trifazic 270 kW. Accesul este facil, cu 4 uși secționale (4x4.5 m), iar platforma exterioară betonată asigură un spațiu generos pentru manevrarea sau parcarea masinilor, astfel hala se poate împărți în 4 hale de 350 mp.

Accesul la proprietate se face pe o stradă asfaltată, de asemenea, aceasta beneficiaza si de camere de luat vederi.

Înălțimea liberă este de 8 m, oferind astfel un spațiu generos pentru orice tip de activitate industrială sau depozitare.

Proprietarul este persoana fizică, astfel nu se adaugă TVA la prețul afișat.

PROPUNERE DE AFACERE:
Achiziționați și închiriați depozitul, obținând un randament de 9-10%, iar ulterior dezvoltați terenul suplimentar pentru a genera un randament suplimentar. Proprietarul actual îl va închiria și îl va construi pentru dumneavoastră, fiind necesară negocierea condițiilor.

Această proprietate reprezintă o oportunitate excelentă datorită condițiilor moderne, amplasamentului strategic și infrastructurii complete. Nu ratați ocazia de a investi într-o hală care poate sprijini dezvoltarea afacerii dumneavoastră!
Id intern: P5038

Solicită vizionarea proprietății

Alege o zi disponibilă

22 Aprilie
23 Aprilie
24 Aprilie
25 Aprilie

Alege un interval orar

8:00 - 12:00
12:00 - 15:00
15:00 - 18:00
18:00 - 21:00

Următoarele date de contact oferite de tine vor fi accesibile proprietarului:

Locație

Despre zona "Industriilor"

păreri exprimate de 1 de utilizatori, pe o scară de la 1 la 10

Află clasamentul acestui cartier
Sănătate și Siguranță

Sănătate și Siguranță

7.3

Sănătate 0.0

Siguranță 8.0

Calitate aer 6.0

Curățenie 8.0

Zone verzi 0.0

Ambianță și Lifestyle

Ambianță și Lifestyle

7.0

Nivel de trai 8.0

Magazine 0.0

Localuri 0.0

Parcări 0.0

Zgomot 6.0

Contactează utilizatorul

ID: 4150553

Strada Oxigenului | Hală industrială

1600 m² | Bucuresti-Ilfov / Bucuresti

1.600.000 €