Vânzări
Închirieri
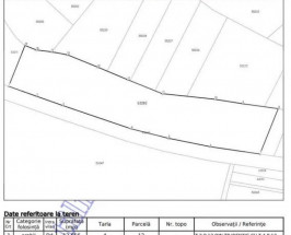
Vânzare Teren, 12656 m²

Teren intravilan 12.656 mp cu deschidere mare la drum – op

150.000 eur
ID 4146766
Terenuri | 12656 m²
Cluj-Napoca, Cluj / Central
Zona Central
Suprafață teren 12656 m²
Tip teren Construibil
Clasificare teren Intravilan
Front stradal 50 m

Blitz oferă spre vânzare teren intravilan în suprafață de 12.656 mp, ideal pentru investiții de anvergură. Proprietatea beneficiază de un front generos la șosea de aproximativ 270 ml și o adâncime de circa 50 ml, oferind multiple posibilități de dezvoltare.

Conform PUG, terenul este destinat construcțiilor rezidențiale, iar utilitățile se află la aproximativ 250 m. Poziționarea strategică, pe un drum județean aflat în plină dezvoltare, oferă un avantaj major pe termen mediu și lung.

Odată cu finalizarea conexiunilor rutiere importante din zonă, locația va deveni un punct de tranzit intens circulat, ceea ce face ca terenul să fie extrem de potrivit pentru dezvoltări comerciale precum stație de alimentare, restaurant sau spații de servicii cu parcare pentru trafic greu.

O alegere excelentă pentru investitori care caută vizibilitate, accesibilitate și potențial ridicat de creștere.

Nu ezitați să mă contactați pentru mai multe detalii.
Cod ofertă / ID BLITZ: P165494
Id intern: P165494

Solicită vizionarea proprietății

Teren intravilan 12.656 mp cu deschidere mare la drum – op

Vizionare
Alege o dată disponibilă:
Luni
23 Martie
Marți
24 Martie
Miercuri
25 Martie
Joi
26 Martie
Anulează
success
Solicitarea ta a fost trimisă cu succes!
Vei fi contactat de către proprietar în cel mai scurt timp posibil.
Contactează utilizatorul
Teren intravilan 12.656 mp cu deschidere mare la drum – op
BLITZ Romania Consultant imobiliar BLITZ
07xx - AFIŞEAZĂ
ID 4146766
Vrei sa vinzi simplu si rapid?
Termenii și condițiile de pe site au fost actualizate. Detaliile complete sunt disponibile aici