Alexandru Vladarau

Consultant imobiliar

Vânzare

Teren intravilan 3707 mp - Aviatiei

Bucuresti-Ilfov / Bucuresti
2.112.990 €

Rată estimată

46.295 Lei/lună

Avans (15%)

1.575.234 lei

Perioada împrumutului

30 ani

Specificații

Suprafață teren 3707 m²

Tip teren Construibil

Clasificare teren Intravilan

Front stradal 64 m

Utilități Curent, Apă, Canalizare, Gaz

Preț negociabil Nu

Construcție pe teren Nu

Tip tranzacție Vânzare

Tip vânzător Companie

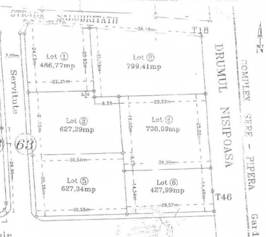
Va propunem spre achizitie un teren intravilan cu destinatia curti-constructii cu suprafata de 3707 metri patrati, aflat la intersectia strazilor Salubritatii cu Drumul Nisipoasa, terenul este aproximativ patrat si are latura dinspre str. Salubritatii de 60,55 metri si latura dinspre str. Drumul Nisipoasa de 64,70 metri.
Terenul este format din 6 loturi alipite fiecare cadastrat individual.
Terenul are un CUT de 2.2 si un POT de 60% si inaltimea maxima de 21 metri si se poate construi blocuri cu regim de inaltime P+4.
Terenul dispune de toate utilitatile: electricitate, gaze, apa, canalizare, iar in prezent gazduieste terenuri de tenis de camp.

Solicită vizionarea proprietății

Alege o zi disponibilă

27 Decembrie
28 Decembrie
29 Decembrie
30 Decembrie

Alege un interval orar

8:00 - 12:00
12:00 - 15:00
15:00 - 18:00
18:00 - 21:00

Următoarele date de contact oferite de tine vor fi accesibile proprietarului:

Locație

Despre zona "Aviatiei"

păreri exprimate de 109 de utilizatori, pe o scară de la 1 la 10

Află clasamentul acestui cartier
Sănătate și Siguranță

Sănătate și Siguranță

8.2

Sănătate 8.0

Siguranță 9.0

Calitate aer 7.2

Curățenie 8.2

Zone verzi 8.6

Cultură și Educație

Cultură și Educație

7.4

Cultură 6.4

Educație 8.2

Sport 7.7

Ambianță și Lifestyle

Ambianță și Lifestyle

7.6

Nivel de trai 8.2

Magazine 8.0

Localuri 7.6

Parcări 6.7

Zgomot 7.4

Transport în comun

Transport în comun

8.4

Autobuz 8.0

Tramvai 8.3

Metrou 8.8

Contactează utilizatorul

ID: 3376429

Teren intravilan 3707 mp - Aviatiei

Bucuresti-Ilfov / Bucuresti

2.112.990 €


Vezi anunțuri și din categoriile